עפצית הכישור
(Smynthurodes betae)
עפצים סופיים של הכנימה עפצית הכישור (Smynthurodes betae) מתפתחים מקיפול העלעלים של האלה האטלנטית (Pistacia atlantica). החלל הנוצר עקב הקיפול משמש למחייתן של כנימות חסרות כנפיים, המתרבות רבייה אל-מינית ומגיעות למספרים גדולים לקראת סוף הקיץ.
עם הגעת הסתיו יתבקע העפץ ויתגלה שהכנימות החלו זה מכבר לייצר צאצאים מכונפים. האלה תיכף תיכנס לתרדמת חורף, אך לא הכנימות. אלה יורדות לקרקע ומשריצות שם, כך שהכנימות החדשות יוכלו להגיע לפונדקאי המשני שלהן: שורשי עשבוניים. כך, לאורך החורף, מתפתחים דורות רבים של עפציות כישור החיות מתחת לאדמה, ניזונות משורשים ולא יודעות לא על עפצים ולא על אלות.
משהחורף מתחלף לאביב, והעשבים דועכים לטובת לבלוב האלה, שוב מתחיל ייצור כנימות מכונפות, העולות אל נוף הפונדקאי העיקרי של המין. כעת היינו מצפים שהן ייצרו עפצים - אבל לא! אם לטבע יש מאפיין אחד ברור, זוהי יתירות מתסכלת. הכנימות המכונפות משריצות כעת צאצאים המתפתחים להיות המתרבים המיניים היחידים בכל מחזור-החיים המורכב הזה. הם מזדווגים על-פני האלה, ומתים, כשעל-פניו נראה כאילו לא הותירו צאצאים.
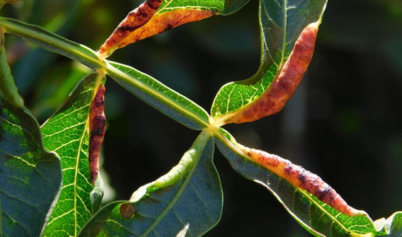
העונות עוברות להן, ורק כאשר מגיע אביב חדש, ביצי הקיימא, שחיכו במשך שנה בגופת הנקבה, בוקעות. הנימפות המגיחות משאריות אמם יכולות כעת לייסד עפצים. אבל חכו! הכנימה המייסדת של המושבה מייצרת תחילה עפץ ראשוני קטן, הממוקם על ציר העלעל. עפציות הכישור שהיא משריצה מתפזרות ומקימות, בתום מחזור מסובך של שנתיים, את עפצי הכישור שאתם רואים בתמונה.
כמה תלאות והרפתקאות, והכל בשביל קצת אדום בשולי העלה!
הדבר הכי מעניין הוא שאפשר ליצור "קצר" במחזור החיים הזה, אם מסלקים את האלה האטלנטית. בתנאים כאלה העפצית עוברת לחיות על שורשים בלבד ובלי כל רבייה מינית. אורח חיים מקוצר כזה הוא, למעשה, הכלל אצל עפצית הכישור, הנפוצה היום ברחבי העולם, הרבה יותר מהפונדקאי הראשוני שלה, איתו התחילה את מסעה האבולוציוני.
גבעת המייסדים, גן חיים, 6.2021





